Norddjursportalen.dk

Tak til
 






  
05/05 2023

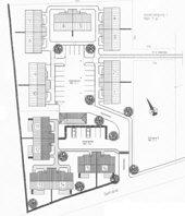
Andelsbolig-projektet Vestermarken i Ørum kan nu udvides med seks nye seniorboliger

Med Murerfirma Bent Klausen ApS som bygherre, Arkitektfirma Mogens Skriver Rasmussen ApS som ariktekt og Randersegnens Boligforening som ejendomsadministrator bliver der lige nu udbudt yderligere seks seniorboliger i andelsboligforeningen »Vestermarken«, der ligger umiddelbart overfor Plejehjemmet Vestervang ved Dystrupvej i Ørum.



Andelsboligprojektet »Vestermarken« i Ørum er nu klar til at blive udvidet med yderligere 6 boliger, så det samlede antal seniorboliger kommer op på 16.
Der er allerede bygget og solgt 10 andelsboliger i Vestermarken, og nu bliver der altså sat yderligere 6 boliger til salg, som vil blive bygget lige så snart de bindende tilsagn er i hus. Der er tale om et ustøttet andelsboligprojekt, og de 6 nye seniorboliger bliver lagt ind under de allerede eksisterende 10, så der på et tidspunkt bliver tale om en andelsboligforening med i alt 16 boliger. Dermed vil området også været fuldt udbygget, fortæller bygherren, Bent Klausen.
Han fortæller videre, at boligerne bliver af samme type og størrelse som de første 10, hvilket vil sige, at der er tale om boliger på henholdsvis 77 m2 og 91 m2. Der vil i den forbindelse kunne bygges to af de små og fire af de store. Bent Klausen forventer byggestart på de sidste 6 andelsboliger omkring nytår, hvorefter de vil være klar til indflytning omkring sommeren 2005. Flere interesserede har allerede henvendt sig, så Bent Klausen forventer ikke at få problemer med at få afsat de sidste 6 boliger i Vestermarken, hvor der godt nok lige skal væltes et hus før man kan komme i gang med byggeriet. Andelsboligerne er placeret på et areal, hvor der engang har været en frugtplantage.

Kilde: Grenaa Bladet

Rex


 

Tak til
 

Kort Nyt

Indsend dine egne nyheder og læserbreve til:
nyheder@djurslands.net

Vi mangler frivillige, der har lyst til at arbejde med nyheder på hele Djursland. Skriv til redaktion@djurslands.net hvis du vil give en hånd med.

Nyhedsstrøm

RSS nyhedsstrøm
Hent nyhederne fra din egen nyhedslæser eller vis dem pÃ¥ din hjemme­side.

Net Nyt
Problemer med din opkobling? - Check Netstatus her

Download programmer for sikring af din PC - her

Brug for antispam til din mailserver - antispam